Mifflin County, Pennsylvania
USGenWeb Archives


Click Here to Search Pennsylvania County files in the USGenWeb Archives

Juniata Memorial Park

Select State: Select County: Select Cemetery: Sort Order By:
Click icons for Photos:  other Records:  Linked Page:  Text Record:  Additional Information:  


Submitted By Mona Anderson Anderson and by Kristy Fultz 01/16/2026


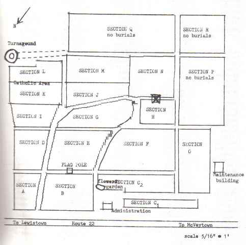
Location: Lewistown Borough Location Map     

Description and/or Directions

Directions from the intersection of US-22 Bus W and US-522, Lewistown, PA: Head west on US-22 BUS W for 135 ft; Use the left lane to merge onto US-22 W/US-522 S via the ramp to Mt Union for 2.0 mi; cemetery will be on the left.


Total Records: 20
NoLastnameFirst,Middle,Maiden NamesBirthDeathPlotInscriptionsNotes
1Barnham Mary E. __/__/1896__/__/1974
2Fairbanks Alice M. __/__/1925__/__/2002
3Fairbanks Jack E. __/__/1928__/__/1999
4Fogarty Muriel Munson 05/30/193410/29/1993
5Hartman Dorothy M. __/__/1927__/__/2014
6Hartman Walter H. __/__/1922__/__/2006
7Koch Connie J. 07/18/195212/09/1995
8Koch Violet I. 09/04/191401/29/1995
9Mumper Arthur W. 03/07/193707/10/2008
10Schmidt Hazel E. 06/04/191909/13/2011
11Schmidt John W. 09/22/191712/04/2002WWII marker
12Smith Pauline E. __/__/1904__/__/2001
13Smith Robert L. __/__/1906__/__/1966
14Specht Mildred E., 09/21/191407/01/1995
15Stever George N. __/__/1891__/__/1959
16Stever Huldah M. __/__/1894__/__/1963
17Swyers Genevieve M. __/__/1916__/__/2003
18Swyers Stinson R. __/__/1916__/__/1999"Bucky"
19Valent Cpl. John S. __/__/1922__/__/1971PA State Police, killed in the line of duty
20Valent Madeline __/__/1929__/__/1991

 

Mifflin Pennsylvania USGenWeb Archives